Ortsgemeinde Langenfeld
Kontakt Ortsgemeinde Langenfeld Ortsbürgermeister Mario Heinrichs Achter Straße 8  l  56729 Langenfeld Telefon (0 26 55) 96 00 31 Telefax (0 26 55) 94 11 48 Zuschriften per eMail an: ortsgemeinde@langenfeld-vordereifel.de Bürgersprechstunde: Montags von 19.00 bis 20.00 Uhr im Gemeindebüro (außer an Feiertagen)
Wetterdaten von Rolf Schlink Die Aufzeichnungen haben keinen wissenschaftlichen Anspruch Aufgezeichnet wurden folgende Daten: tiefster Wert – höchster Wert – Niederschlag – Schneehöhe
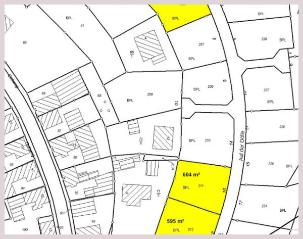
Planen, Bauen & Wohnen Wohnen und Immobilien Ganz gleich, ob Sie ein Baugrundstück erwerben möchten, nach dem Kauf eine Baugenehmigung beantragen oder Fragen rund um Ihr Eigenheim haben, die Ortsgemeinde Langenfeld unterstützt Sie bei der Beantwortung von Fragen und bei der Umsetzung Ihrer Anliegen. Selbstverständlich stehen wir auch Mietinteressenten mit Rat und Tat zur Seite, sei es bei der Wohnungssuche oder mit einem Blick in den Mietspiegel. Bebauungspläne und Flächennutzungspläne Ein Bebauungsplan regelt, was im Ort wie und wo gebaut werden darf und welche Nutzungen bestimmten Flächen zugeordnet werden sollen. Bebauungspläne sind aus dem Flächennutzungsplan zu entwickeln. Interessierte Bürger haben die Möglichkeit, sich über die aktuellen Bebauungspläne und Planänderungen zu informieren. Baugrundstücke In Langenfeld werden Wohnbaugrundstücke für Einfamilienhäuser aus dem Eigentum der Ortsgemeinde Langenfeld sowie auch von Privatpersonen veräußert. Schauen Sie nach, ob für Sie das passende Baugrundstück dabei ist und verwirklichen Sie sich Ihren Traum vom Eigenheim. Baugebiet: „Auf der Dölle“ Größe in qm: 579-649 Preis pro qm: 47,00 €/qm voll erschlossen Kontaktdaten: Gemeindebüro Langenfeld Ortsbürgermeister Mario Heinrichs Telefon (0 26 55) 96 00 31